La Administración Nacional Oceánica y Atmosférica (NOAA) elevó la alerta para el huracán Érick. Este ciclón, el más potente de la temporada 2025, se ha fortalecido a categoría 2, aunque tiene potencial de alcanzar el nivel 3 con vientos superiores a 178-208 kilómetros por hora al tocar tierra.
Fortalecimiento y trayectoria del huracán Érick según la NOAA
Según la previsión más reciente publicada por la NOAA a las 11:35 horas de este miércoles 18 de junio, el huracán Érick presenta un fortalecimiento significativo. La Administración Nacional Oceánica y Atmosférica, también conocida por sus siglas en inglés NOAA, indica que el huracán tiene un potencial ciclónico de nivel 3.
Previsión de impacto en tierra
La proyección de la NOAA detalla que el huracán Érick, con categoría entre nivel 2 y potencial 3, impactará en los siguientes municipios (el texto proporcionado no especifica cuáles).
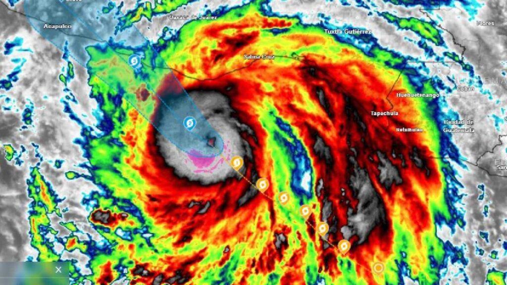
⚠️#Aviso especial sobre el #Huracán #Erick.
— CONAGUA Clima (@conagua_clima) June 18, 2025
Se ha intensificado a #Huracán de categoría 2 en la escala #SaffirSimpson. El sistema mantiene trayectoria hacia #Oaxaca y #Guerrero. pic.twitter.com/vOBgfe6dEw
Acapulco se prepara ante la cercanía del huracán
Ante la proximidad de la posible zona de impacto del huracán Érick con Acapulco, los hoteleros y restauranteros del principal puerto de Guerrero ya se están preparando. Apenas se recuperan del fenómeno de Mar de Fondo que afectó recientemente playas como Revolcadero y Puesta del Sol en la Zona Diamante.
La temporada 2025 muestra su ciclón más intenso hasta ahora.



